
© 2026 Blaze Media LLC. All rights reserved.
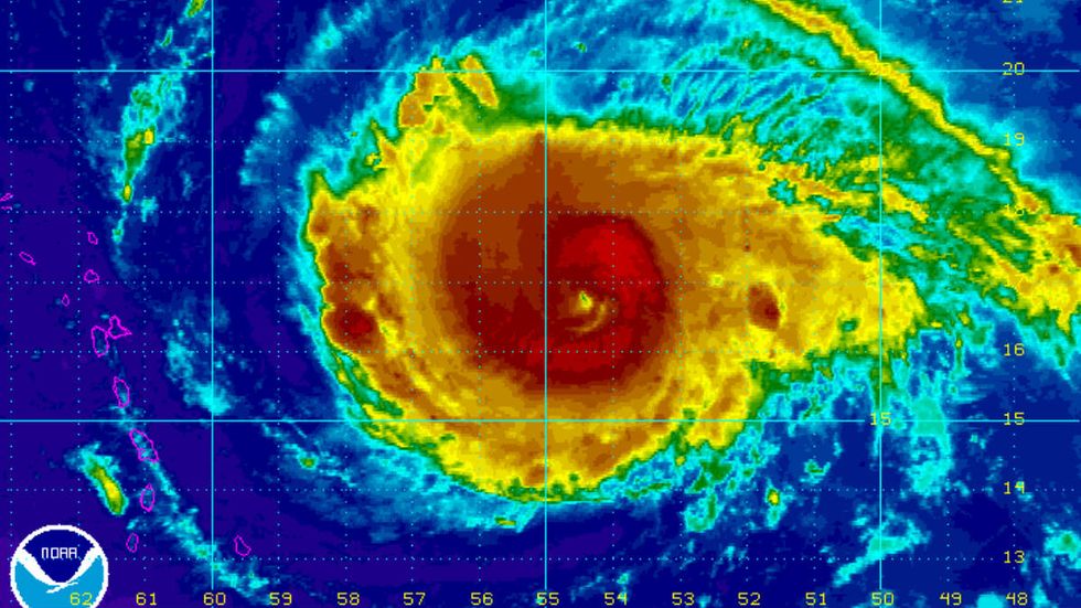
In the wake of the death and devastation brought to Texas by Hurricane Harvey, Hurricane Irma, the category 5 storm that is wreaking havoc in the Caribbean, is only days away from coming into direct contact with the continental United States.
Over the past few days, Irma has brought death and devastation to Caribbean countries. It directly hit Saint Martin, Anguilla, and Barbuda on Wednesday.
“We are in a state of siege,” a local resident of the French territorial council for Saint Martin and Saint Barthelemy told Radio Caraibes International, estimating that "95 percent of the territory has been destroyed."
Additionally, Antigua and Barbuda Prime Minister Gaston Browne said that 95 percent of the buildings in Barbuda are damaged or destroyed. He estimated that it would cost about $100 million dollars to rebuild the island.
"UNPRECEDENTED" DESTRUCTION -- Aerial footage showing the destructive aftermath of #HurricaneIrma on Barbuda pic.twitter.com/JsttqFjw9B
— WSVN 7 News (@wsvn) September 7, 2017
Irma’s death toll will likely continue to rise as the 180+ mph storm continues to crash into Caribbean states. So far, Irma has taken the lives of over ten people, and local governments estimate that the final casualty count will be exponentially higher.
Over the course of the day Thursday, Irma will travel near or over Turks and Caicos and the Bahamas. It will then proceed to Cuba on Friday, according to projections. The Dominican Republic, Haiti, and the Virgin Islands will also face a potential direct hit.
Bahamian Prime Minister Hubert Minnis has ordered a mandatory evacuation for six southern islands, which he described as “the largest such evacuation in the history of the country.”
Most projections for the storm predict that Irma will first make landfall in the continental U.S. in either south Florida or South Carolina. Should Irma first make landfall in south Florida, it will likely be as a category 4 storm. If it veers north and makes first contact with South Carolina instead, projections estimate that it will be a category 1 hurricane.
Hurricane Irma: Latest projections, possible Tennessee impact and current forecast. https://t.co/oereIZZa8L pic.twitter.com/l4APSoiOAX
— FoxNashville (@FOXNashville) September 7, 2017
Florida Governor Rick Scott is warning residents throughout the state to be prepared to evacuate if necessary. "Regardless of which (Florida) coast you live on, be prepared to evacuate," he said in a news conference Thursday. "This is not a storm you can sit and wait through. ... We can't save you after the storm starts," he added.
"We can't take chances": @FLGovScott says every Floridian must prepare for Hurricane Irma https://t.co/hVMdnH9TiH pic.twitter.com/fM8B4TY2cP
— NBC 6 South Florida (@nbc6) September 7, 2017
Miami Beach Mayor Phillip Levine has described the storm as a “nuclear Hurricane,” urging residents to leave the city as soon as they can.
In addition to Irma, there are two other classified Hurricanes in the Atlantic basin. Hurricane Jose is currently located southeast of Irma, tracing its path. Hurricane Katia is in the Gulf of Mexico.
Want to leave a tip?
We answer to you. Help keep our content free of advertisers and big tech censorship by leaving a tip today.
Want to join the conversation?
Already a subscriber?
more stories
Sign up for the Blaze newsletter
By signing up, you agree to our Privacy Policy and Terms of Use, and agree to receive content that may sometimes include advertisements. You may opt out at any time.
Related Content
© 2026 Blaze Media LLC. All rights reserved.
Get the stories that matter most delivered directly to your inbox.
By signing up, you agree to our Privacy Policy and Terms of Use, and agree to receive content that may sometimes include advertisements. You may opt out at any time.






