
NASA/NOAA GOES Project via Getty Images

'Why can't we do that?'
President Donald Trump responded harshly Monday to a report claiming that he has suggested using nuclear bombs to thwart hurricanes from making landfall in the United States.
Axios reported Sunday, citing anonymous sources, that Trump has proposed multiple times to senior national security officials that they explore the possibility of using nuclear weapons to prevent hurricanes from making landfall over U.S. soil.
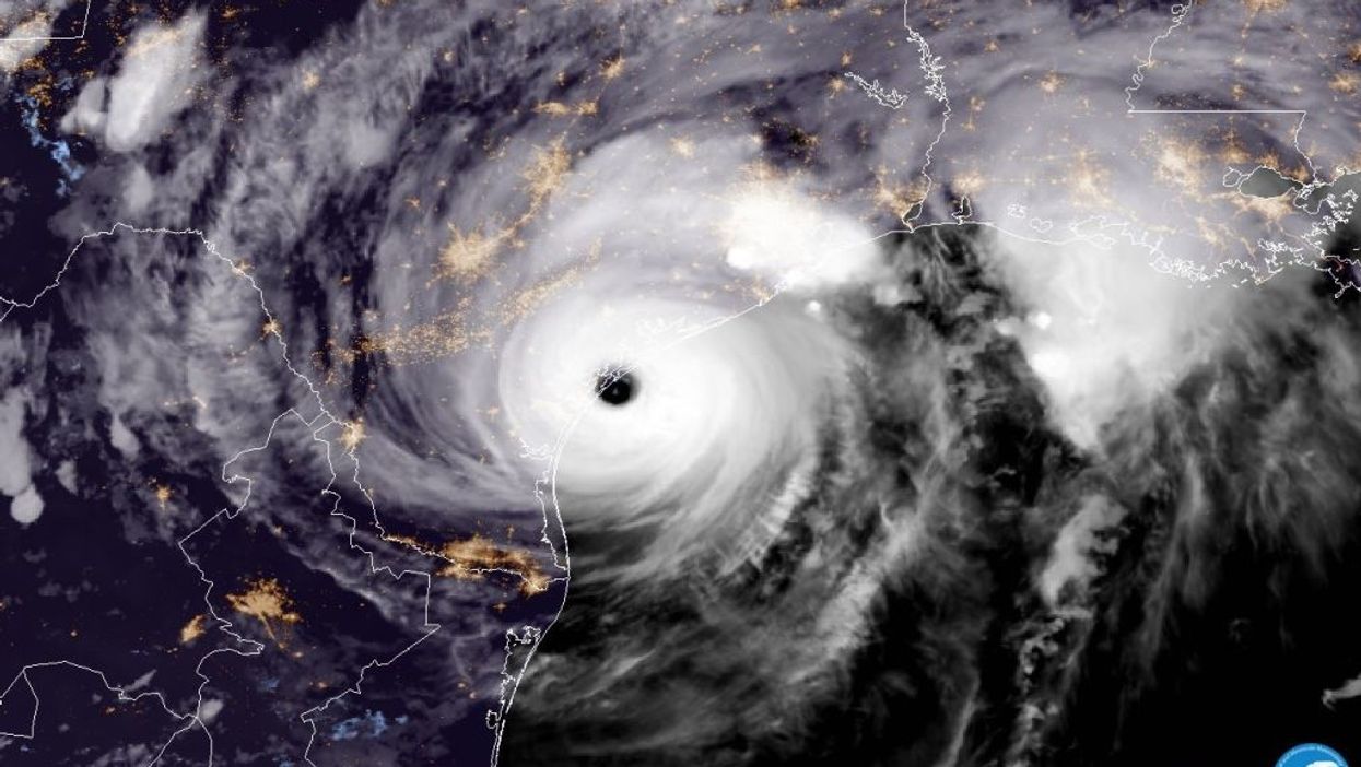
"They start forming off the coast of Africa, as they're moving across the Atlantic, we drop a bomb inside the eye of the hurricane and it disrupts it. Why can't we do that?" one source, paraphrasing the president, claimed Trump said during a hurricane briefing at the White House.
In a second instance, which was allegedly recorded in a 2017 National Security Council memorandum, Trump floated the idea of bombing hurricanes, Axios reported, although not specifically mentioning nuclear bombs.
The idea of using nuclear weapons is not an idea attributed to Trump. In fact, according to Axios, the idea originates from a mid-20th century government scientist. However, it is so popular that the National Oceanic and Atmospheric Association has explained why the idea is not good.
The agency explains:
During each hurricane season, there always appear suggestions that one should simply use nuclear weapons to try and destroy the storms.
Apart from the fact that this might not even alter the storm, this approach neglects the problem that the released radioactive fallout would fairly quickly move with the tradewinds to affect land areas and cause devastating environmental problems. Needless to say, this is not a good idea.
Trump fired off a tweet Monday calling the report "FAKE NEWS."
Still, White House officials who spoke with Axios said that Trump did, in fact, make the suggestion — but it should not be cause for concern.
"His objective is not bad," one official said. "His goal — to keep a catastrophic hurricane from hitting the mainland — is not bad."
"For me, alarm bells weren't going off when I heard about it, but I did think somebody is going to use this to feed into 'the president is crazy' narrative," another official told Axios.