
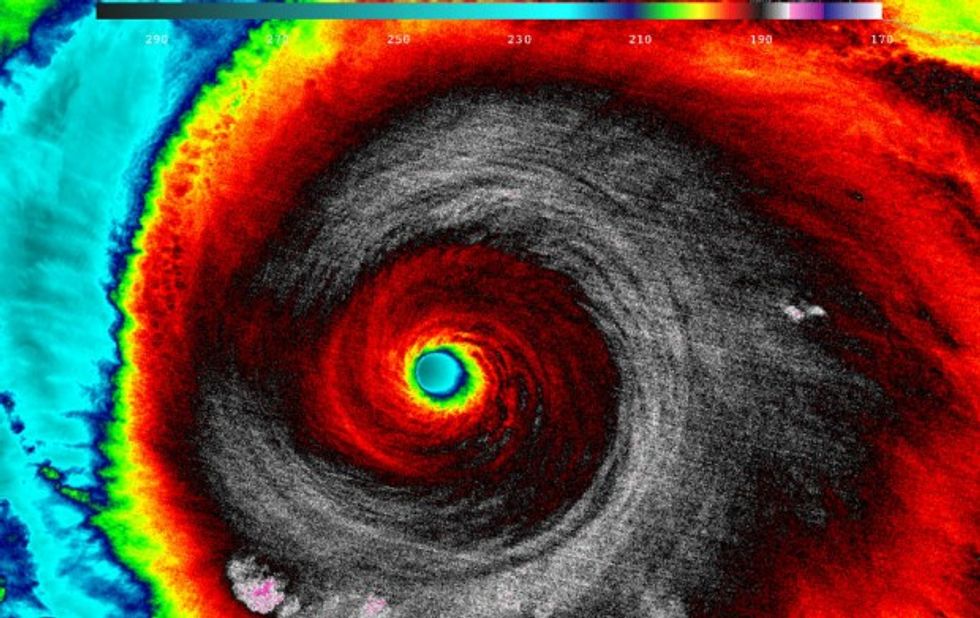
Image source: UW/CIMSS/William Straka III

UPDATE, 10/24: 2:30 a.m. ET: The National Hurricane Center said that Hurricane Patricia had weakened to a category 2 storm as it moved over Mexico:
—
UPDATE, 7:30 p.m. ET: The National Hurricane Center said that Hurricane Patricia has made landfall in Mexico with 165 mph winds:
—
PUERTO VALLARTA, Mexico (AP) — Hurricane Patricia barreled toward southwestern Mexico Friday as a monster Category 5 storm, the strongest ever in the Western Hemisphere. Residents and tourists hunkered down or tried to make last-minute escapes ahead of what forecasters called a "potentially catastrophic landfall."
[sharequote align="center"]"[P]otentially catastrophic landfall."[/sharequote]
The storm was homing in on a Pacific coastline dotted with sleepy fishing villages and gleaming resorts, including the popular beach city of Puerto Vallarta and the port of Manzanillo. After hitting land, Patricia's projected path would quickly take it over mountainous terrain that is prone to dangerous flash floods and landslides.

In Puerto Vallarta, residents reinforced homes with sandbags and shop windows with boards and tape, and hotels rolled up beachfront restaurants. The airport was closed to flights and all but deserted, but lines formed at a bus station as people sought to buy tickets to Guadalajara and other inland destinations.
At a Red Cross shelter, some 90 people waited anxiously in the heavy, humid air, including senior citizens in wheelchairs and young children snuggled between their parents on mattresses on the floor.
Carla Torres and her family sought refuge there in the afternoon, fearful of what Patricia might do to her home just two blocks from a river in an area vulnerable to high winds.
"Here we are with those who can give us help," Torres said.
Patricia formed suddenly Tuesday as a tropical storm and quickly strengthened to a hurricane. Within 30 hours it had zoomed to a record-beating Category 5 storm, catching many off guard with its rapid growth. By Friday it was the most powerful hurricane on record in the Western Hemisphere, with a central pressure of 880 millibars. Maximum sustained winds hit a high of 200 mph (325 kph), according to the U.S. National Hurricane Center in Miami.
Patricia's power was comparable to that of Typhoon Haiyan, which left more than 7,300 dead or missing in the Philippines two years ago, according to the U.N.'s World Meteorological Organization. More than 4 million people were displaced and over 1 million houses were destroyed or damaged in 44 provinces in the central Visayas region, a large cluster of islands.
By late Friday afternoon, Patricia's center was about 60 miles (95 kilometers) west of Manzanillo and about 110 miles (175 kilometers) south-southeast of Cabo Corrientes, with maximum sustained winds eased slightly to 190 mph (305 kph). The Hurricane Center said Patricia was expected to remain an "extremely dangerous" Category 5 storm through landfall in late afternoon or evening, before weakening over the inland mountains.
Mexican officials declared a state of emergency in dozens of municipalities in Colima, Nayarit and Jalisco states, and schools were closed. Many residents bought supplies ahead of Patricia's arrival. Authorities opened hundreds of shelters, prepared to shut off electricity as a safety precaution and suspended tolls on the Guadalajara-Tepic highway to facilitate the flow of vehicles from the coast.
According to the 2010 census, there were more than 7.3 million inhabitants in Jalisco state and more than 255,000 in Puerto Vallarta municipality. There were more than 650,000 in Colima state, and more than 161,000 in Manzanillo.
Images on Mexican television showed strong winds whipping palm trees and powerful waves rolling ashore in the storm area.

Roberto Ramirez, director of Mexico's National Water Commission, which includes the nation's meteorological service, said Patricia's winds would be powerful enough to lift automobiles, destroy homes that are not sturdily built with cement and steel, and drag anyone caught outside when the storm strikes.
He said Patricia was heading in the general direction of Playa Perula, a Pacific coast locale in Jalisco state, with Manzanillo the nearest and most at-risk city for the storm's wrath.
One of the worst Pacific hurricanes to ever hit Mexico slammed into the same region, in Colima state, in October 1959, killing at least 1,500 people, according to Mexico's National Center for Disaster Prevention.
Civil protection officials warned that past hurricanes have filled the streets of Puerto Vallarta with water, sand and flying projectiles, and those remaining were urged to move at least three blocks inland.
[sharequote align="right"]"It is a devastating hurricane, the biggest one ever registered."[/sharequote]
"We need people to understand the magnitude of the hurricane," Interior Secretary Miguel Angel Osorio told Radio Formula. "It is a devastating hurricane, the biggest one ever registered."
At the Red Cross shelter, Wendi Mozingo of Austin, Texas, and six family members sat on folding chairs after being ordered out of their beachfront vacation rental home by managers of the property. They brought a few changes of clothes and left everything else behind.
The family was supposed to depart Puerto Vallarta on Tuesday, but now, Mozingo said, "We're leaving as soon as we can."
Brian Bournival of Portland, Oregon, who traveled to Puerto Vallarta for a friend's 40th birthday, decided to ride the storm out in his hotel because of heavy traffic on roads out of the city.
Bournival expressed confidence in the construction of his hotel a few blocks from the ocean, describing its foundations as "ginormous." He and a dozen other guests huddled in a common area with food, water and medical kits.
U.S. State Department spokesman Mark Toner said tens of thousands of American citizens are believed to be vacationing or living in areas likely to be affected by the storm.
Meteorologists said Patricia's small, 8-mile-wide eye wall would likely contract — a normal process that often weakens a storm slightly. But that may not be completely good news, because it would make the overall size of the storm slightly larger, said Jim Kossin, an atmospheric scientist for the U.S. National Oceanic and Atmospheric Administration.
"It's looking like a very bad disaster is shaping up," said MIT meteorology professor Kerry Emanuel.
Winds that restrain a storm were starting to pick up, so Patricia might weaken a bit to winds of about 175 mph at landfall — which would still be a top-of-the-chart hurricane, said Jeff Masters, a former hurricane hunter meteorologist.
Kossin called Patricia "a three-pronged hazard" that would likely wreak havoc with high winds, saltwater storm surge and inland freshwater flooding from heavy rains.
Three airports in Patricia's path were shut down: Puerto Vallarta; Manzanillo in Colima state; and Tepic in Nayarit.
A hurricane warning was in effect for the Mexican coast from San Blas to Punta San Telmo, and a broader area was under hurricane watch, tropical storm warning or tropical storm watch.
Earlier, fire trucks and ambulances rolled through the streets, sirens blaring, as emergency workers warned people in both Spanish and English to evacuate.
For Jose Manuel Gonzalez Ochoa, that made up his mind. His family lives in their ground-floor chicken restaurant, Pollos Vallarta, and neighbors told them water was 5 feet deep in the street the last time a hurricane came through.
Gonzalez Ochoa said the family was heading to a town 30 minutes from the coast. "The whole government is telling us to leave. You have to obey," he said.
Asked what preparations he would make for his business, he said he'd just close it up and see what's left after the storm passes.
Patricia also threatens Texas with forecasters saying that even after the storm breaks, up its tropical moisture will likely feed heavy rains already soaking the state.
The U.S. National Weather Service said a flash flood watch would be in effect through Sunday morning for Dallas-Fort Worth, Austin and San Antonio.
A coastal flood warning was in effect through Friday night in Corpus Christi. Galveston was under a coastal flood advisory until Saturday night.
—